skip to main content
$2,255,000

16 Petricca, Smith, PA 15021

Active #1743498
New3/12
SmithBurgettstown School DistrictWashington County
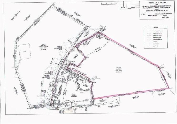
Farm Without Residence82.62 Acres
Rare 82 Acres - Development, Investment or Private Estate Opportunity, Beautiful 82-acre property located directly on a State Highway in the Pittsburgh Airport Corridor featuring public water, sewage, and natural gas at the property, B-1 business zoning along the road frontage, and gently rolling open fields that are fully drivable. The property offers excellent potential for residential development, mixed-use opportunities, land investment, or a private estate setting. Conveniently located approximately 15 minutes from Pittsburgh International Airport and 35 minutes from Downtown Pittsburgh with excellent access to major regional routes. The highway frontage is zoned B-1 Business District, allowing commercial development opportunities along the road frontage while the balance of the acreage zoned A1 offers exceptional potential for residential development or estate use. Large contiguous tracts with utilities on site and direct state highway frontage are increasingly difficult to find in the Pittsburgh Airport growth corridor.
Presented ByCosta Real Estate
General Information
Taxes $2,500
Zoning B1,A1
Exterior Features
Frontage 750
Terrain open. rolling, wooded
Utilities
Electric WestPenn
Gas Peoples
Sewage Public
Water Public

Map

Drive Time Estimator

Add locations to calculate your drive time to this property.

Mortgage Estimator

principal + interest
$0
$
price
% down
$
loan
%
years
+
taxes
$208
$
taxes/yr
+
insurance
$0
$
ins./yr
=
monthly cost
$0
Total Monthly Cost

For more details, use our mortgage comparison and amortization tool.

This is an estimate which can be affected by your lender's rates, PMI requirements and other factors. For the most accurate information, contact a mortgage representative.

Listing courtesy of BERKSHIRE HATHAWAY THE PREFERRED REALTY

Information Herein is Deemed Reliable but Not Guaranteed

Get In Touch About This Property
Presented ByCosta Real Estate

I'd like to:

Email This Property

Fill out the form below to email this property to a friend!

Login
Register
Log In To Use This Feature

Log in to access your saved properties, easily request more information, get customized mortgage calculations and more! Or register a new account.

Register to Use This Feature

Creating an account allows you to save properties, easily request more information, get customized mortgage calculations and more!

Forgot Password

Enter your email address in the box below and click "Reset Password" to send an email with instructions to reset your password.